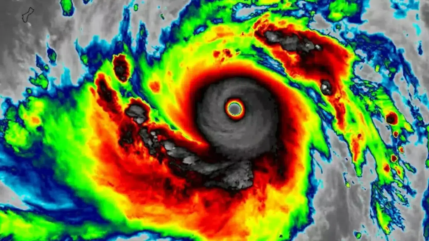
En voldsom tyfon, der er blevet døbt Sinlaku, hærger lige nu i Stillehavet.
Det skriver den videnskabelige hjemmeside IFL Science.
Tyfonen, som er den kraftigste i 2026, skulle være startet som følge af en række mindre forstyrrelser i Stillehavet, oplyses det.
Lige nu er supertyfonen i det nordvestlige Stillehav nær Nordmarianerne, et område der tilhører USA.
Stormen forårsager voldsomme vindstød på op til 85 meter i sekundet og kan udvikle sig til kategori 4-5 styrke, oplyser USAs nationale vejrtjeneste.
'Hold jer indendørs under kraftig regn og vind knyttet til supertyfonen Sinlaku. Når de skadelige og potentielt ødelæggende vinde sætter ind, vil det udgøre en dødelig risiko for dem, som bevæger sig udendørs,' advarer myndighederne.
Tyfonen startede som mindre forstyrrelser den 9. april og udviklede sig hurtigt over det vestlige Stillehav. Nord-Marianerne ligger cirka 2500 kilometer øst for Filippinerne.

