»Jeg er bange. Det er umuligt at vide, hvad der vil ske.«
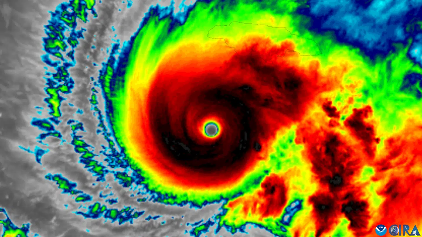
Med sine vindstød på over 280 kilometer i timen er orkanen 'Melissa', som hastigt styrer mod Jamaica, den kraftigste orkan, der har hærget kloden i år.
En af dem, der befinder sig i østaten i Det Caribiske Hav, er den norske musiker Charlotte Amalie Andersen, som er kendt under navnet 'Ama Li'.
Til VG fortæller hun, at hun blot venter på, at 'Melissa' rammer.
»Det er skræmmende,« fortæller hun.
Da det norske medie talte med hende, havde det regnet uafbrudt i ti timer i den jamaicanske hovedstad, Kingston, hvor Charlotte Amalie Andersen opholder sig.
Hun har købt ekstra mad og vand, i tilfælde af at hun og hendes kammerat, som hun bor med, ikke kan forlade huset de kommende par dage som følge af orkanen og dens ødelæggende konsekvenser.
»Jeg er mest bange for, at noget vil ramme huset og rive taget af,« fortæller hun til VG og forklarer, at hun bor i et murstenshus med bliktag.
Orkanen 'Melissa' er en såkaldt kategori 5-orkan, hvilket er den højeste kategori.

Det nationale orkancenter for Atlanterhavet, National Hurricane Center, har også udsendt en skarp advarsel til alle dem, der befinder sig i Jamaica:
»Bliv i jeres sikre ly. Katastrofale oversvømmelser og adskillige jordskred forventes indtil tirsdag,« lyder det:
»De ødelæggende vinde fra orkanens øje kan forårsage totalt strukturelt sammenbrud, især i højereliggende områder, hvilket kan føre til omfattende infrastrukturelle skader, langvarige strøm- og kommunikationsafbrydelser og isolerede samfund,« advares der videre.
'Melissa' forventes at ramme Jamaica tidligt tirsdag morgen lokal tid – hvilket er omkring middagstid dansk tid.

»Langs den sydlige kyst forventes livstruende stormflod og ødelæggende bølger indtil tirsdag. Hvis der ikke tages øjeblikkelig handling, kan det resultere i alvorlige kvæstelser eller betydeligt tab af menneskeliv,« lyder det fra National Hurricane Center.
Efterfølgende forventes 'Melissa' at ramme Cuba som en større orkan tirsdag aften eller natten til onsdag lokal tid, før den vil kunne ramme dele af Bahamas og de omkringliggende områder.

